Земля в Плескодале
|
|
Место:
Латвия, Рижский район, Рига, Золитуде
Цена:
21 000 €
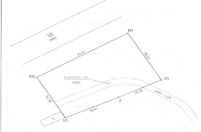
1232 м2, рядом проходят все коммуникации. Есть разрешение для строительства жилого малоэтажного дома, или многоквартирного дома до 5 этажей.
| Описание: |
| ID объекта: |
L27 |
| Адрес: |
ул. Волгунтес |
| Этажность застройки: |
5 |
| Коммуникации: |
все городские |
| Статус: |
Под строительство дома |
| Риелтор: |
Rafails, t. +371 22833246
rafails@realinvestment.lv |
|
| Описание участка: |
| Площадь участка: |
1232 м2 |
| Площадь застройки: |
628 m2 |
| Окрестности: |
Участок находится между ул. Волгунтес и ул. Калнциема. Рядом расположены многоквартирные дома и частный сектор. Недалеко гостиница Elefant. До центра Риги 15 минут, до аэропорта 10 минут. Недалеко торговый центр Спице. Удобное транспортное сообщение. |
| Сервитуты, красная линия: |
499 |
| |
|
|
|
|
|
|
|
|